Diving - The adventure continues!
April 2018 - Liveaboard in the Maldives - Part 1
Day 1 : Arrival
The trip started with a flight from Heathrow at about 5PM, with a short change at Dubai which all went on time and we passed over the various atolls as we neared Male.

Atolls below us as we near Male
Customs and passport control was quick and I was hopeful for an early pickup, but it wasn’t to be and I had to hang around for hours until 3:30 when people from Aggressor 2 arrived and started gathering us up.
I turned out to be the only Brit on the trip, with 6 Americans, 3 French Candians, a couple of Belgians and 5 Russians and 3 Portugese, two of who were combining their previous 7 day trip with our 10 day one!

Pick up from the airport is a little different to Heathrow!
We were taken to the Dhoni (about 75 feet, so rather different to that I’d dive from in Indonesia) at the quayside at the airport and immediately told to set up our kit, which took a while as, typically, everyone left bags and other equipment scattered around the benches and deck.
While we were doing this we headed out to the Maldives Aggressor 2, moored out in the lagoon.
Once onboard we were introduced to the ship and crew, it all looked very nice being nearly new.
No diving was done on the first day, but we were warned that the diving day starts as 6AM! I hadn’t slept a lot on the way out.
One big bonus was that I found I was alone in my twin cabin, not sharing with a stranger and it was a great size for one person (actually plenty big enough for two, even not too well acquainted!).

My Cabin from the door...

...and from my bed.
After unpacking, I explored the ship a little and then ate an excellent dinner, after a general briefing on the boat.
After dinner we had a general dive briefing, explaining the dhoni and the procedures for diving.

Mistral and Hurrcane (sic) - The Maldives Agressor II team
I was a little unsure how well I’d sleep on the moving boat, but I needn’t have worried. I awoke about 2:30 and looked out to see we were underway, but I couldn’t tell from my bed.
Day 2
We were told someone would call us at 6, but if they did I didn’t hear them.
Fortunately I awoke (sort of!) at 6:15 and headed up for the ‘mini breakfast’. I just drank a couple of coffees and ate a banana, which woke me a little.
We were in the Northern Ari Atoll, off the picturesque, but tiny, island of Bathala. The plan was to do a check dive around the Thila (or pinnacle), but the current proved too strong, so we ended up doing a gentle drift dive along the wall on the outside of the reef.
This was a pleasant enough 52 minute, c 20M dive, with a few Moray, a decent sized Octopus, a few big Trigger fish and plenty of reef fish, plus a few Jacks and other pelagic fish on the edge of the blue.

White Tip Shark
Not a thrilling dive (Although another group spotted a Grey and a Blacktip Shark and an Eagle Ray – typical!), but perfect for a first dive (except that I’d forgotten my computer – left on the boat – so I had to borrow one from the dhoni).
When we returned we ate our main breakfast, although I just had an omelette (very good) and a couple of pieces of toast, as it was already obvious that you could eat far too much on a trip like this!
At 10:30, we reconvened in the lounge for another dive briefing (we’d been told that today would probably feature 4 dives).
This was a mixed bag of a dive for me. Having forgotten my dive computer on the first dive, I used one of the boat’s without issue, but when I came to start up my OSTC Sport I had the same issue I’d had in the heat of Jordan, there was a red warning light and no display! The OSTC had worked perfectly on a number of UK dives since then (and I got it working, most of the time in Jordan, with some fiddling), but I brought my Suunto Vyper as back up and used that.
Sadly, somehow the deco rules were set to the most cautious and, as I was diving fairly shallow and not that long, I missed it incur 10 minutes of deco! This resulted in the ignomany of hanging on a stop for 10 minutes on the dive guide’s octopus! Very embarrassing, but we did and the computer didn’t lock out (which would have meant no diving for 24 hours!) and she spotted the issue and managed to adjust to a less cautious one for the next dive.

Swimming Moray
On the positive side, we saw 4 Whitetip sharks on this dive! One was directly in front of me, about 5m away and swam directly below me. The others were further away, but still clearly visible and observable.

Cube Trunkfish
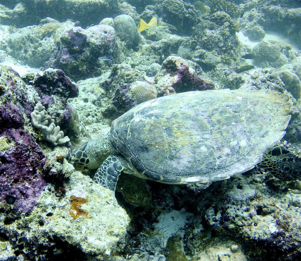
We also saw our first turtle on this dive, so the good outweighed the bad and at least the issue with the Vyper was resolved without any problems!
Lunch followed and, as I was suspecting, you’re in real danger of piling on the pounds on an Aggressor liveaboard. I tried to be fairly circumspect in how much I ate!
After lunch we dived at “Fish Head”, which is a small Thila renowned for its quantity of fish, including some Grey reefsharks. We only saw a couple, far off (this dive was a bit murkier than the earlier ones, presumably because of the quantity of nutrients coming in on the current), but the rest of the dive erased any sense of disappointment about that!

Surgeonfish?
We worked around the reef edge, observing fish in the distance and down the wall, until we came to a spot with a massive shoal of Bluestripe Snapper, passing around, above and throw them were Jacks. We also spotted a stonefish and a number of morays, including two in one hole, a tiny yellow boxfish (sadly my photo was blurred) and another Turtle, but the real memory of this dive was sheer profusion of fish, they were everywhere in large numbers and varieties. Even on the safety stop, there were hundreds of fish shoaling around us!

Bluestripe Snapper shoals common

Morays were a common site throughout the trip
A break for tea and cake followed (A liveaboard, it seems, is not unlike a Ski chalet holiday, except that it moves and you spend more time in the chalet than on the piste!), but we hoped that a night dive would follow. This would depend on whether the dhoni was successful in attracting Manta Rays using a large underwater light...

Big shoals of fish were a common occurence, too

Turtle on our first day, we were to see many more

Massive Triggerfish and Bannerfish shoal on a safety stop!
Dinner came and it looked like we may be out of luck, but suddenly word came that straight after dessert we were heading out to the Dhoni because 2 Manta Rays had arrived.
I travelled out with 7 others on the small speedboat and when we got to the dhoni we went to the back and there was a shark just breaching the surface! A moment or two later a large white shape appeared in the light and there was a Manta Ray looping the loop as it feasted on the plankton attracted by the lights!
We quickly kitted up and jumped in. The lagoon was shallow (about 15-20M) so we were advised to head down towards the torches of the guides and find a spot. Unfortunately, the sand bottom that was predicted turned out to be sharp coral debris in the main, so it wasn’t comfortable!
However, in under a minute something loomed out of the dark, and the Manta scooted over our heads just a few feet above us. It looped around 4 or 5 times and there was also Stingray that came into join the feast, but I didn’t see the shark again.

Our first Manta by torchlight
After what I thought was about 30 minutes and not having seen the Manta for about 10, I started heading up to the boat. After a safety stop, I found I was the first back, but people started coming up afterwards and no-one had seen the Manta again. Some of those from the second speedboat full hadn’t seen it all, sadly.

Manta scooping up the plankton attracted by the light on the Dhoni
Next morning we were promised the chance to see more, with a visit to Manta Point, a cleaning station for Rays.

Heading back to the boat after a night dive
Day 3
Our first two dives today were at Manta Point, or Moofushi Beru, and on arrival we descended to the foot of the pinnacle and then started to work our way up it. Pretty soon we spotted a Manta looping around and coming in for a clean. In addition there were 5 Eagle Rays, fairly small, but beautifully marked patrolling around.

A pair of Eagle Rays

Manta approaches cleaning station
There was plenty to see on this dive, but it’s a big draw for dive boats and it’s hard to keep track of who is your guide. At one point I realised I could see no yellow tanks (which our guides all used) and I didn’t recognise anyone either! It took me a while swimming into the current to locate my group, but when I did I was nearly out of air, so had to surface. I’d seen plenty though.

Big shoal of fish - Not sure what!
On the second dive I was determined to stay close to the guide and had no problem. We stayed shallower, but only spotted one Manta, right near the end of the dive. We did, though, see some sharks a little way off and plenty of other fish, including a pair of octopus, morays, the eagle rays again and also a turtle.

Bright and wonderfully named Oriental Sweetlips

Another Turtle - Not getting blase about them yet, though
A very enjoyable dive and where we went was less congested too.
The final dive, after lunch, was along a reef and wall at Kalahandee. The visibility was quite murky as the current was full of ‘stuff’, but this was one of those ‘aquarium’ dives, with thousands of fish everywhere you looked. There were lots of Morays and some Stone/Scorpionfish, another turtle and nearly every kind of reef fish imaginable.
We didn’t drop below 23M and mostly going with the current, I was able to stay with the group until the 60 minute dive limit was reached, which was good.

Clown Triggerfish (top) and Indian Triggerfish (black fish)
In the evening we adjourned to a nearby island for a BBQ where the crew made a sand Whale Shark and Manta Ray for us and produced an excellent meal. The island was tiny and everyone agreed it was a pretty idyllic spot for dinner.

BBQ Island - All ours for the evening!

Would this be the only Whale Shark we saw?
Day 4
We started off with two dives at another Manta Point. The first dive was pretty good, with plenty of life on the reef and a Manta or two on the cleaning station, plus a couple of White Tip sharks around.

Peacock Hind

Manta passes overhead

Parrotfish

Morays always look aggressive, but aren't usually!

Napoleonfish (Bumphead Wrasse)

White Tip Shark

A type of Surgeonfish, I think

Porcupine fish, they look like Peter Lorre!
After breakfast proper we returned and I had in my mind to focus on the reef, rather than worrying about the Mantas, but when we arrived a huge Manta swam over us and we were treated to 30 minutes of up to 5 Mantas being cleaned by cleaner fish. We mostly just hunkered down on the reef and watched them after that! As we departed I spotted a White Tip Shark and then there was a diving Turtle on the ascent, so all in all a cracking dive!

Mantas swoop into the cleaning station

Most Mantas have a few Remoras in attendance

Closer look!

Mantas seem as interested in us as we are in them as they pass by
After lunch we set out to hunt for a Whale Shark. I didn’t think our chances were that great as I’ve heard of people returning to locations where they are found time after time and never having seen one and the plan, to look for one from the Dohni and then snorkel after/around it, seemed a bit shaky to me, but after a while word came that boats heading back towards us were indicating at least one Whale Shark ahead. I’m not sure exactly what prompted it, but we suddenly got word to jump in and start snorkelling. Marc, the dive director, pointed down to indicate the Shark was below me, but all I could see was blue, until suddenly I could make out dots and then the shape of a Whale Shark below me came into focus, sadly, for too short a time as it swam ahead and vanished. Some had not seen it at all, but at least I had.
We reboarded the boat and were told we were going to try and find a Whale Shark on a dive. We dropped in and all spread out from 5m down to around 25m and headed off. For a long while we didn’t see anything out of the ordinary, but then suddenly a huge shape loomed over us from the left and just behind. It took a second to realise, but there, a few metres away and clear as day was a Whale Shark! I hurriedly switched on my camera (I had really not expected to see a Whale Shark on the dive!) and was only able to snap one rather murky shot before it, too, was gone, but this had been a real, up close and personal encounter with one of these amazing fish!

Rubbish shot of the Whale Shark!

About to be picked up
We returned to the boat and had a snack and then some of us undertook a night dive along a reef wall. There was a bit of a current running and we all got scattered, but my buddy for the dive, Regine (from Belgium) and I managed to stick together and find some interesting sights including numerous interesting eels, a few nudibranchs and a cave with some very colourful fan corals.
Eventually we surfaced after nearly an hour, but had to swim a considerable distance back to the boat. They were a little worried about us we’d not been seen since early on the dive, but we returned as a buddy pair, with plenty of air in reserve, so everyone was happy.
Dinner followed, at 9, by the time we returned from the night dive and we all retired to our cabins ready for another full day ahead!
Day 5
It may have been Sunday, but there was no rest, with another 6AM start for ‘mini–breakfast’ (mostly coffee for me!) and a briefing for the first dive.
The morning was to continue our attempts to have a longer encounter with a Whale Shark.
We spent a good 45 minutes sitting on the dhoni, with no luck, before kitting up and spending an hour underwater, with likewise zero success.

Diving Turtle checks me out
On the plus side, as with everywhere else, there was plenty of other life including some White Tip sharks and even a resting Leopard Shark, which I spotted when on my own and then someone spotted and I returned to it, only for one of the Canadians to chase it away with his extremely powerful strobes on his DSLR, and also a Grey Shark. There were a couple of Turtles too.
After breakfast we headed out and repeated the exercise, but this time, just as we were about to kit up for diving, someone shouted that a group of tourist boats had stopped and obviously had found a Whale Shark.

Leopard/Zebra Shark - A rare sighting, apparently
Sadly, when we got there, there must have been 40 excited island dwelling tourists, splashing, duck diving and banging into everyone else.
Sure enough, just below the surface (about 3-5 M I’d guess) was the huge and unmistakable sight of a whale shark. We followed it from the surface for a few minutes, but obviously the rules (no Duck Diving, no cutting in front of the shark) we were given were either not given to or totally ignored by the land-lubbers and their behaviour soon drove it into deeper water, the idiots...

Whale Shark ahoy!
We had another dive in the same location as before, again with no more Whale Shark spotted, but plenty of life.

Black Tip Sharks were less common than White Tips, but we saw a few
As we headed back to the boat, the cew started pointing and there was a Whale Shark, right on the surface, with no-one else around. We quickly kitted up to snorkel and jumped in.
I found myself, with my GoPro in one hand and camera in the other, directly in the path of the Shark and it ambled to and then past me, giving me some great footage! This was the kind of encounter we dreamed of.
For a few minutes, the rules we were following paid off, as the Whale Shark didn’t seem bothered by us, swimming alongside or just above it, but soon our activity was spotted by a tourist boat and the water was filled with over-excited, duck-diving idiots again and moments later the Shark was gone...

For a few minutes we were able to swim with a relaxed Whale Shark, until the Island tourists arrived!
The afternoon dive was supposed to be a relatively gentle amble around a Thila (Kudurah), but the guide who jumped in either underestimated the current or vastly over estimated our ability to cope with it!
By the time I reached the Thila a quarter of my 12L tank was gone and I was puffing like Henry the steam engine – I really needed five minutes on the surface to catch my breath, but we tried to explore the Thila.

Fish have no trouble with current!

The thila was lovely, but the current unmanagable!

Wrasse, Blue Face Angelfish and Pufferfish

Bird like face of the Eagle Ray visible here
It was very pretty, with loads of life, including big shoals of the Bluestripe Snapper and a picturesque arch, but the current was raging and virtually no-one could make any significant progress into it.
After 30 minutes I gave up the struggle and indicated to Iris, our guide, that was going up and popped my DSMB. A Belgian, Benny, came with me, but was dangerously low on air by the time we reached the surface – One of the Russians later showed me his gauge and it showed ZERO bar!
Still, everyone got back safely, and we adjourned briefly to look around a local island. There wasn’t much to see, mostly tourist shops and slightly shambolic homes (if not exactly shacks), with a few better built government buildings (A Mosque, school , police station and health centre – They seemed to have the primary care needs covered, to be fair!) – I bought an ice-cream and looked at some gifts, but they seemed a bit expensive.

A rare moment ashore!
The most interesting thing I found about the island was the huge Bats, 3-4 feet across, that swooped over us. Sadly night fell too quickly for me to get a photo.
Around this area, too, we saw many shoals (Flocks?) of Flying Fish, often flying away from the wake of the boats.
Dinner was quite late, but by 9:30 everyone else had gone to bed – I sat on one of the upper decks for a while and read, but nodded off a couple of times, while I did, and went off myself by 10:15.

Flat seas and wonderful weather for the first week
Read some more of my diving experiences, by clicking the icons below.


