Diving - The adventure continues!
2021 Diving - HMS Hazardous Project
Way back in 2019, a number of us had taken part in a Historic England backed project to dive on a 1700s shipwreck, HMS Hazardous.
There were supposed to have been two project 'weekends' (actually 2 day mid-weeks), but bad weather hampered those plans and COVID then intruded to stymy 2020 plans, but an email arrived in 2021 proposing dates in September.
The Monday and Tuesday were in the same week that I had booked to travel to Cyprus to dive the Zenobia, but, doubting that would actually happen, I signed up to return to the Hazardous.
For various reasons, numbers were down, but Geoff and I joined 4 other divers (including a woman, Verity, who had been on the previous dives) and Alison and Tom from MSD (who, again, were running the project) and Licensee's Dave and Iain (Dave diving, Iain not) on Wight Spirit, Dave Wendes' boat, usually based at Lymington.

We stayed in Chichester, near the Cathedral, for the duration of the project.
Geoff and I travelled down Sunday evening and stayed in the Travelodge in Chichester, partly because it offered the option of cancelling at short notice if the weather caused cancellation, but we needn't have worried as, just as the School holidays ended, the weather turned glorious!
Meeting at 9AM at Itchenor Harbour, we soon had the boat loaded and set out down the river and across Bracklesham Bay to the wreck, flat calm waters reflecting blue skies and bright sunshine.

We were treated to lovely weather for both days.
The first dive was designated as an orientation dive. Geoff, Verity and I, of course, had dived the site before, but the other divers had not, so it was a chance to orient ourselves before doing any real work.
The conditions above the surface were, happily, replicated below with 7 or 8M of visibility, meaning that we could actually see the wreck on this trip and take in the scope and shape of it.
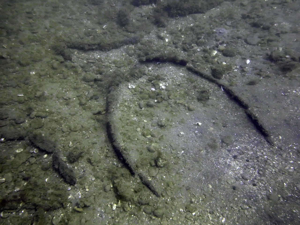
The shot was secured to a pile of 3 cannons and it was easy to swim around the outside of the hull, clearly visible in the sand.

The shot secured to the pile of cannons
There were more cannons, huge keel timbers and, within the hull, near buried barrels, the contents of which remain a mystery at this point.
We circled the wreck, lying in around 9M, a few times, taking some photographs, examining various points of interest and, basically, getting the 'lie of the land'.

Geoff examines some of the wreck
After a relaxed break and lunch, we were asked to put in some new reference points on the wreck.

Buried barrels still yet to reveal their contents
This involved screwing some large eyed screws into the massive keel timbers and recording their position, by measurement, relative to some known, existing, marks.
As I'd used relatively little air on the first dive, I dived with a part-filled 15L cylinder and things started fairly well, albeit in a little current.
We found, as predicted by Iain and Dave, that it wasn't possible to just screw the markers in, they needed hammering in to get them started.

Bow post?
There was one hammer between the 3 teams, taken down by the first pair and to be left in a frame for each team to use as they needed them.
Having got the first in, I returned the hammer and measured the new mark in.

Setting off to fit the data markers - Photo MSDS
However, when I returned for the hammer, it was nowhere to be seen.
I looked around for the other teams, but couldn't see anyone - No hammer and, seemingly, no-one using it.
I returned to Geoff and we tried hammering it in with rocks, but the timber was unyielding, so we had to give up.

Hull Timbers
Back on the boat it became evident that the first time had not only taken the hammer in, but returned to the surface with it!
That evening we enjoyed a Barbecue at the White Cliff Farm campsite, where I'd staying in 2019. To be honest, the weather was so nice I rather regretted not doing so again!
The following morning was just as bright, if a fraction windier, but our first dive, to complete adding the markers was far more successful, being aided by a dedicated lump-hammer!

Tom from MSDS explains the tasks to us prior to diving - Photo MSDS
We got all 4 remaining marks in along the keel timber over a 52 minute dive. The visibility, however, had reduced somewhat to around 4M.

Two of the cannons south of the main site
For our final dive, we were tasked with disassembling a frame made of scaffolding tube, which was used for excavating the wreck.
The intention was to remove it on a subsequent dive and then relocate it in 2022 for exacvating parts of the wreck.

Tom checks we're ready to go as we kit up - Photo MSDS
This took us a few minutes and we then circled the wreck and out to the 3 cannons to the south of the main part with GoPros to capture an up to date status of the site in reasonable visibilty, not something that is very common, Iain told us (In fact once in a number of years by all accounts, so we had been lucky).

Only a small wreck, but it still attracts life
Back in Itchenor, the boat was unloaded and we thanked Dave and waved him off. We then headed back to the campsite to discuss the project over a chicken curry and then headed home.
It had been an interesting couple of days ago, blessed by good weather and visibility, which made it even more enjoyable.

Members of the team dekit after a successful couple of days
Sadly, my drysuit leak got worse by the dive, so it was packed up and returned to Seaskin to repair.
Meanwhile, though, I had more urgent things to attend to as I had to dry my equipment and back it ready to fly to Cyprus to dive the Zenobia!


